Listed by Rachael Rogala of Rachael Rogala Inc.
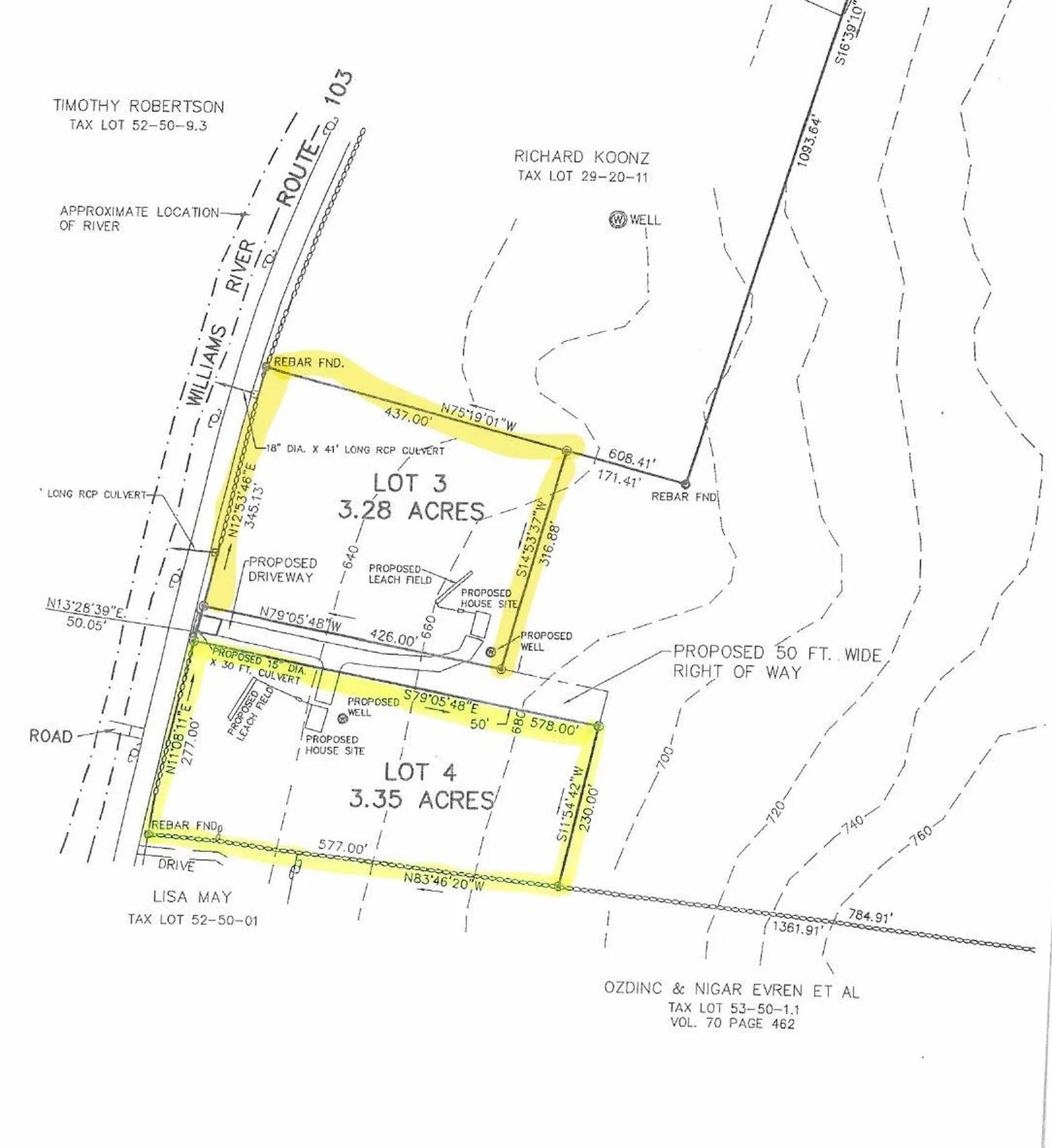
Tucked just off scenic Route 103 in charming Chester, this parcel offers a prime opportunity to create your own Vermont retreat. With aproposed well and septic design already in place, much of the groundwork has been done-now it's your turn to bring the vision to life. The lot offersample space for parking and potential for mountain or woodland views with some strategic tree clearing. Whether you're dreaming of a cozy cabin, amodern hideaway, or a base for four-season adventure, this property has the flexibility and setting to make it happen. Just minutes to Chester Village, and an easy drive to Okemo Mountain, local trails, and swimming holes, this location strikes the perfect balance between convenience and tranquility. There is also an option to purchase 1 of the two lots. This option is for two combined lots.

Listing Tools

Property Details of 00 Vermont Route 103

Property Details

Exterior Features

Utilities and Appliances

Map Location

Driving Directions

Broker Reciprocity 

Copyright 2025 PrimeMLS, Inc. All rights reserved. This information is deemed reliable, but not guaranteed. The data relating to real estate displayed on this display comes in part from the IDX Program of PrimeMLS. The information being provided is for consumers’ personal, non-commercial use and may not be used for any purpose other than to identify prospective properties consumers may be interested in purchasing. Data last updated November 6, 2025 3:56 PM EST

 

Hi there! How can we help you?

Contact us using the form below or give us a call.

Send Us A Message:

I agree to receive marketing and customer service calls and text messages from Flat Fee Real Estate. To opt out, you can reply 'stop' at any time or click the unsubscribe link in the emails. Consent is not a condition of purchase. Msg/data rates may apply. Msg frequency varies. Privacy Policy.

Do not fill in this field:

This site is protected by reCAPTCHA and the Google Privacy Policy and Terms of Service apply.

Hi there! How can we help you?

Contact us using the form below or give us a call.

Send Us A Message:

Do not fill in this field:

This site is protected by reCAPTCHA and the Google Privacy Policy and Terms of Service apply.

Hi there! How can we help you?

Contact us using the form below or give us a call.

Send Us A Message:

Do not fill in this field:

This site is protected by reCAPTCHA and the Google Privacy Policy and Terms of Service apply.

Do not fill in this field:

This site is protected by reCAPTCHA and the Google Privacy Policy and Terms of Service apply.

Do not fill in this field:

This site is protected by reCAPTCHA and the Google Privacy Policy and Terms of Service apply.

Do not fill in this field:

This site is protected by reCAPTCHA and the Google Privacy Policy and Terms of Service apply.

$

Do not fill in this field:

This site is protected by reCAPTCHA and the Google Privacy Policy and Terms of Service apply.